Radiologie Quiz April 2026
In samenwerking met Dr Adrien-Maxence Hespel van de Universiteit van Tenessee bieden we volgende radiologie quiz aan. Het doel van deze casus is om te oefenen in het herkennen van radiografische tekenen en om een radiografische diagnose te stellen op basis van een korte beschrijving van de patiënt. In het laatste stukje volgt nog wat meer informatie over de behandeling.
Casus april 2026
Geschiedenis
Juveniele dwergschnauzern intact teefje. Probeerde op het bed te springen en is gevallen, sindsdien belast zij de rechterachterpoot niet. Vermoedelijk pijnlijk. Er is geen relevante medische voorgeschiedenis en de hond krijgt geen medicatie.
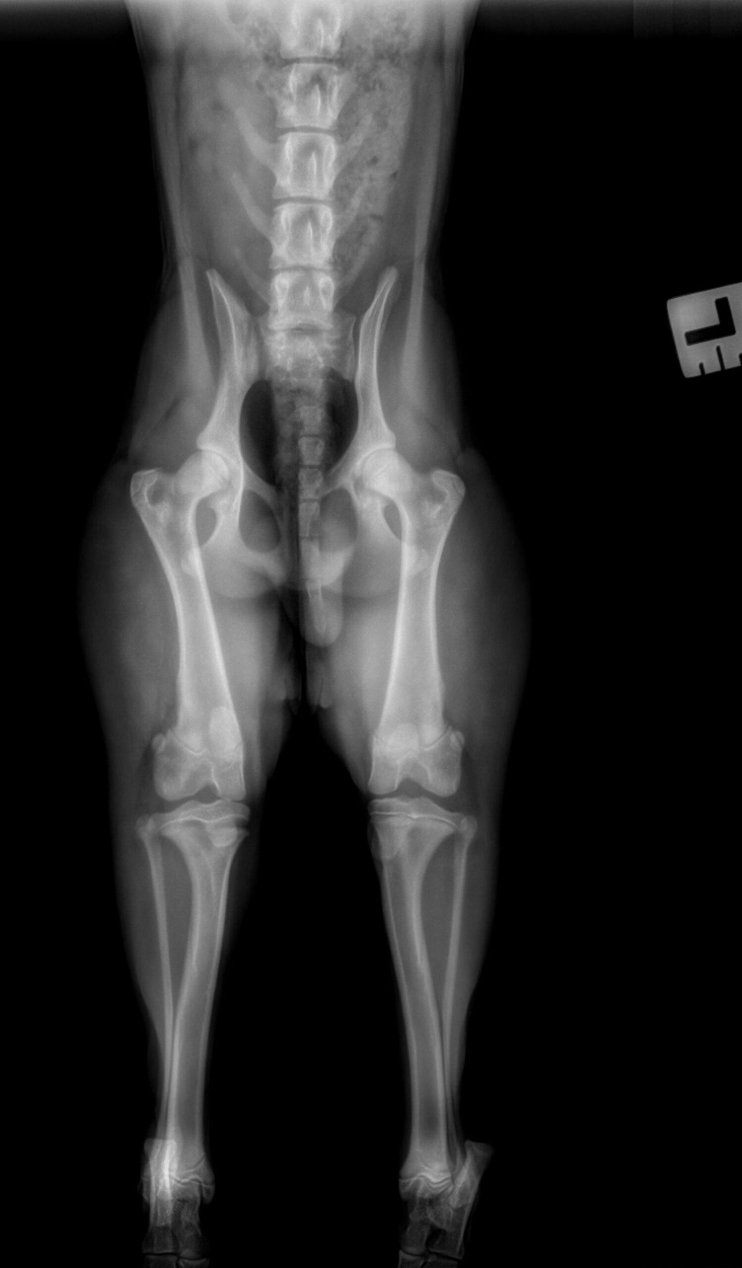
Röntgenfoto’s
Hieronder vind je de 3 röntgenfoto’s van de achterpoten en bekken. Gebruik de pijltjes om erdoor te schuiven, of klik op de foto om te vergroten.
Beschrijving van de röntgenfoto's
Er is een avulsiefractuur van de tuberositas tibiae aan de rechterpoot. De tuberositas tibiae is proximaal verplaatst en er zijn minstens enkele kleine botfragmenten zichtbaar ter hoogte van de fractuurplaats. Gelijktijdig is er een Salter-Harris type II fractuur van het caudo-proximale deel van de tibia, het best zichtbaar op de laterale opname. Het overige deel van de achterpoten is radiografisch binnen de normale grenzen.
Diagnose
Avulsiefractuur van de rechter tuberositas tibiae met kleine botfragmenten. Chirurgisch consult wordt aanbevolen.




Reacties